Save
Ask
Tour
Hide
$299,000
5 Days On Site
0 Rosehill RoadFayetteville, NC 28311
For Sale|Land|Active
Subdivision:
ROSEHILL RD
County:
Cumberland
Listing courtesy of DAVID HELMS of COLDWELL BANKER ADVANTAGE - FAYETTEVILLE
Call Now: 910-644-0222
Is this the listing for you? We can help make it yours.
910-644-0222
Save
Ask
Tour
Hide
Mortgage Calculator
Monthly Payment (Est.)
$1,364Calculator powered by Showcase IDX, a Constellation1 Company. Copyright ©2026 Information is deemed reliable but not guaranteed.
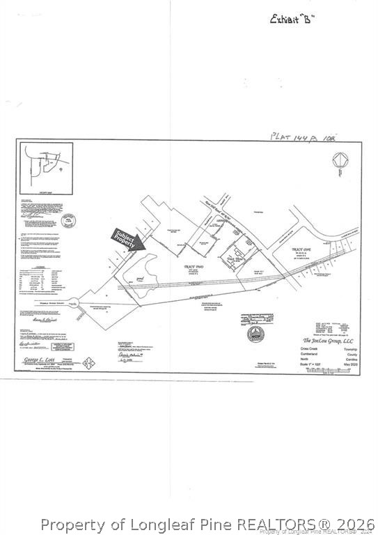
Great site for potential development as residential, multi-family, Religious Institution, & possible commercial use in the northeast corner as currently zoned. Specific use would be subject to zoning approval by the city of Fayetteville. Public Sewer is available in the immediate area & access would need to be obtained by easement. The existing pond is approximately 1.72 acres & shows up on the GIS as wetlands. Use of this area would need to be determined by Buyer's Engineering Firm. There is a gas line easement line that crosses the property. See attached plat map.
Save
Ask
Tour
Hide
Listing Snapshot
Price
$299,000
Days On Site
5 Days
Bedrooms
N/A
Inside Area (SqFt)
N/A
Total Baths
N/A
Full Baths
N/A
Partial Baths
N/A
Lot Size
15.31 Acres
Year Built
N/A
MLS® Number
760806
Status
Active
Property Tax
N/A
HOA/Condo/Coop Fees
N/A
Sq Ft Source
N/A
Friends & Family
Recent Activity
| 5 days ago | Listing first seen on site | |
| 5 days ago | Listing updated with changes from the MLS® |
General Features
Acres
15.31
Sewer
Public Sewer
Special Circumstances
Standard
Water Source
Public
Zoning
SF6 - Single Family Res 6
Save
Ask
Tour
Hide
Exterior Features
Lot Features
ClearedSlopedWooded
Waterfront Features
Pond
Community Features
Financing Terms Available
Cash
Listing courtesy of DAVID HELMS of COLDWELL BANKER ADVANTAGE - FAYETTEVILLE
Listing information is provided by Participants of the Longleaf Pine REALTORS MLS. IDX information is provided exclusively for personal, non-commercial use, and may not be used for any purpose other than to identify prospective properties consumers may be interested in purchasing. Information is deemed reliable but not guaranteed. Copyright 2026, Longleaf Pine REALTORS MLS.
Data last updated at: 2026-04-21 03:26 PM UTC
Listing information is provided by Participants of the Longleaf Pine REALTORS MLS. IDX information is provided exclusively for personal, non-commercial use, and may not be used for any purpose other than to identify prospective properties consumers may be interested in purchasing. Information is deemed reliable but not guaranteed. Copyright 2026, Longleaf Pine REALTORS MLS.
Data last updated at: 2026-04-21 03:26 PM UTC
Neighborhood & Commute
Source: Walkscore
Disclosure: Community information and market data powered by Constellation Data Labs. Information is deemed reliable but not guaranteed.
Save
Ask
Tour
Hide


Did you know? You can invite friends and family to your search. They can join your search, rate and discuss listings with you.